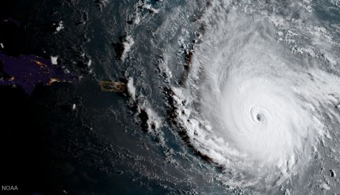
Harvey nos hizo sufrir. El huracán que tocó tierra en Texas a finales de agosto pasó a ser una tormenta tropical a principios de este mes. Vientos de 200 kilómetros, olas de cuatro metros y al menos una treintena de víctimas mortales. Así fue Harvey, eso ya lo saben. Después llegó Irma y mató al doble de personas, pero eso también lo saben. Lo que quizá desconozca mi buen lector —como yo misma hasta hace bien poco— es quién le pone nombre a estos virulentos desastres naturales. La filosofía del lenguaje nos enseñó que pensamiento y lengua son uno; de manera que, como la incógnita del sonido del árbol talado en el bosque cuando nadie escucha, hemos de nombrar algo para que exista. Al menos, ante nuestros ojos.
El amor es un fenómeno extraño, capaz de arrasar cual maremoto los más recónditos rincones del alma y del cuerpo. Amamos en la cercanía y en la distancia, amamos sin pensar y sin saber cuándo comenzamos a amar. Como ocurre con todo aquello que nos aterra, no queremos ponerle nombre. Así nació la tan contemporánea como descafeinada fobia a las etiquetas sentimentales. El miedo es el más universal y atávico recurso de lo humano, demasiado humano, que diría Nietzsche. A veces el amor es una cuestión de tiempo —acaso siempre lo es—, de conocer de veras y padecer las tormentas ajenas, capear el temporal y no morir en el intento. Vivir en el intento y por el intento, si me lo permiten.
La nomenclatura de los huracanes tiene lo suyo. Desde 1979 la Organización Meteorológica Mundial ha alternado aleatoriamente nombres de hombres y mujeres para tormentas tropicales nacidas sobre el Atlántico. Como si se tratara del sorteo de la Champions, esta institución cuenta con seis listados de nombres que se utilizan en continua rotación, por lo que, en unos años, los nombres de temporales pequeños que ya conocimos volverán a copar el sumario de los noticiarios. Hay una condición que permite excluir de la lista ciertos nombres para que no vuelvan a salir del bombo: que hayan provocado víctimas mortales. Valga la analogía, suena bastante a lo que sucede con apellidos como Hitler, exterminados del mapa por su propio poder de exterminación.
Así que solo los nombres de huracanes que matan salen de la lista. Se trata de un dudoso honor que puede pretender reconocer la entidad de los difuntos. Más allá de la tragedia, Harvey e Irma protagonizan una curiosa historia de amor. ¿Qué es el amor sin tragedia, al fin y al cabo? Él desapareció de noche. Luego vino ella para asolar islas del Caribe y el estado de Florida. Al estilo de dos villanos del celuloide, sembraron la destrucción a su paso, aunque por separado. Nunca pudieron verse pero los unía la fuerza. Como en el caso del sol y la luna o de los volcanes animados de la Lava de Pixar, el uno se marcha para dar paso a la otra.
Otros Harvey e Irma sí que han podido amarse. Los huracanes comparten nombre con los de una veterana pareja de Washington: los Schluter. Él, de 104 años, ella, de 93. Casados durante más de tres cuartos de siglo y residentes en Spokane, Estados Unidos. Dados los dramáticos efectos de sus tocayos, el matrimonio nunca volverá a ver ya sus nombres protagonizando el informativo. No volverán a estar en la lista. Ellos se despertaron deseando ayudar a los heridos, queriendo agradecer a la comunidad el haber podido amarse durante tanto tiempo. Harvey e Irma se aman en su tormenta. En Spokane.


